Aide Aide Espace perso Espace perso Contact Contact Glossaire Glossaire

JEUX DE DONNEES DE REFERENCE

Appellation de taxons Appellation de taxons

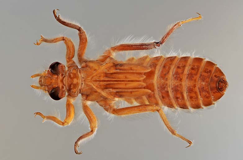
Gomphus vulgatissimus

2645

Validé

Avertissement: : image(s) à titre illustratif seulement.
Noter cette fiche :
Partager :

Gomphus vulgatissimus est un(e) espèce du règne Animalia

17/10/1994
07/03/2016
Gomphus vulgatissimus
(Linnaeus, 1758)
Appellation référente
Espèce
Gomphus [679]
Invertébrés
(Linné, 1758)
Conseil Supérieur de la Pêche
MAJ : ajout du code alternatif 65225 du MNHN MAJ : modification automatique du thème. MAJ : suppression automatique du code alternatif d'origine "ONEMA" : "05060105"
Gomphe vulgaire

65225

TAXREF

0
Office International de l'Eau [31490172900066]

Création

1994-10-17 00:00:00

Création

Mise à jour mineure d’informations alphanumériques

2016-03-07 10:54:12

suppression automatique du code alternatif d'origine "ONEMA" : "05060105"

1

Arbre Taxonomique de [2645] Gomphus vulgatissimus

Légende

Appellation de Taxon en statut Validé ayant pour thème :

Poissons
Invertébrés
Végétaux
Diatomées
Cyanobactéries
Champignons
Chromistes
Protozoaires
Tuniciers
Bactéries
Thème inconnu
Foraminifères
Taxon de haut niveau
Amphibiens
Mammifères
Reptiles
Oiseaux
  • Appellation de Taxon en statut Gelé

Statistiques du jeu de données Appellations de Taxon